El huracán Melissa, de categoría 5, avanza hacia Jamaica con vientos de 280 km/h. Ya causó tres muertes en la isla y amenaza a más de 1,5 millones de personas, según la Cruz Roja.
Jamaica bajo estado de emergencia por la tormenta categoría 5
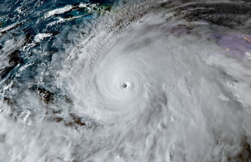
El poderoso huracán Melissa continúa su paso destructivo por el Caribe. Según el último informe meteorológico, el fenómeno se encuentra a 215 kilómetros de Kingston, la capital jamaicana, con vientos sostenidos de 280 km/h, lo que lo ubica dentro de la categoría 5, la más alta en la escala Saffir-Simpson.
Las autoridades locales confirmaron tres muertes en Jamaica y advirtieron que el número de víctimas podría aumentar a medida que avancen las tareas de rescate. La Cruz Roja Internacional estima que el huracán podría afectar a más de 1,5 millones de personas en todo el territorio.
Daños y víctimas en la región
Haití y República Dominicana también reportan fallecidos
Melissa no solo azotó Jamaica: su paso también dejó un saldo trágico en otros países del Caribe. Cuatro personas murieron en Haití y República Dominicana, mientras los gobiernos de ambas naciones evalúan los daños estructurales y coordinan asistencia humanitaria.
En Jamaica, más de 52.000 hogares permanecen sin suministro eléctrico debido a los fuertes vientos y las intensas precipitaciones. Los meteorólogos advirtieron que podrían caer hasta un metro de lluvia en algunas zonas montañosas, lo que aumenta el riesgo de inundaciones y deslizamientos de tierra.
El más fuerte en décadas
Las autoridades meteorológicas locales señalaron que Melissa podría convertirse en el huracán más potente que haya impactado Jamaica en su historia reciente. Las operaciones aéreas y marítimas fueron suspendidas, y los refugios de emergencia se encuentran funcionando a plena capacidad.
La población fue instada a permanecer bajo resguardo y evitar desplazamientos innecesarios. “Estamos ante una tormenta sin precedentes en cuanto a su intensidad y alcance”, advirtió un vocero del gobierno jamaicano.


